• <li id="kkkk0"></li>
    Flash :

    Le super-typhon Neoguri menace le Japon BAE révèle les technologies des avions du futur Affaire de l’agent double : les Etats-Unis vont collaborer avec l’Allemagne Coupe du monde : des milliers de supporters belges fêtent le retour des Diables rouges malgré leur élimination CIO : Beijing et deux autres villes retenues comme candidates à l'organisation des JO d'hiver de 2022 Le Pape Fran?ois fustige les évêques ? complices ? d’actes de pédophilie La Chine soutient l'Irak pour le maintien de sa souveraineté et appelle à un gouvernement d'inclusion Audi : un nouveau record semestrielle de ventes Isra?l et le Japon signent un accord de coopération industrielle La Chine et l'Allemagne s'engagent à approfondir leur coopération et à consolider leur partenariat Chine : création d'entreprises en hausse grace à la simplification des procédures Rapprochement entre la Chine et l'Allemagne à l'occasion de la visite d'Angela Merkel Un septième périphérique prévu à Beijing Le Japon met à l'épreuve les nerfs de ses voisins Un criminel de guerre japonais avoue avoir tué 970 civils chinois Suisse : baisse du taux de ch?mage pour le 5ème mois consécutif Ouverture prochaine de la zone névralgique de l'Unité 731 Le Premier ministre chinois confiant dans la croissance économique du pays Le PM chinois appelle à la commémoration de la Guerre de résistance contre l'agression japonaise La Chine et l'Allemagne signent des accords commerciaux

    Beijing  Très nuageux  28℃~16℃  City Forecast
    Français>>Environnement

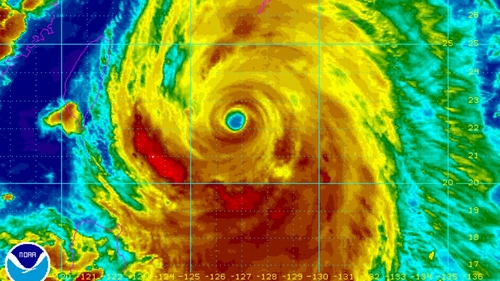
    Le super-typhon Neoguri menace le Japon

    ( Source: le Quotidien du Peuple en ligne )

    08.07.2014 08h58

    Le super-typhon qui fonce vers le Japon a incité l'agence météorologique du pays à émettre son alerte la plus élevée. Neoguri se dirige actuellement vers le sud de l'?le d'Okinawa, où sont attendus des vents violents et des hautes vagues. Il est actuellement à l'Est de Taiwan, mais il devrait changer de direction et bifurquer vers le Nord-ouest et le Nord-est, puis tourner en direction du Japon.

    L'avertissement au typhon -le premier depuis qu’un nouveau système a commencé à être mis en ?uvre en ao?t dernier- signifie que la tempête en question constitue une menace pour la vie. Avec des rafales pouvant aller jusqu’à 270 km/h, il pourrait infliger des dégats massifs. Les chefs de gouvernement locaux ont tenu des réunions d'urgence et instamment demandé aux gouvernements et aux résidents locaux à se préparer.

    Satoshi Ebihara, directeur de la division des prévisions météo du Japon, a déclaré aux journalistes: ? Ce typhon pourrait être le typhon le plus violent de l'histoire pour un mois de juillet ?, ajoutant qu’? Il y a un risque de vents forts et de pluies torrentielles sans précédent. Veuillez vous abstenir de toute activité de plein air non essentielle ?.

    Il n'y a pas de centrales nucléaires à Okinawa, qui abrite également un grand nombre de militaires américains, mais il y en a deux à proximité sur Kyushu et l'autre sur l'?le de Shikoku, qui jouxte Kyushu et qui pourrait également être affectée. Les centrales ont été fermées, en concordance avec la politique nationale. 

    • Nom d'utilisateur
    • Anonyme

    Sélection de la rédaction

    Les Articles les plus lus |Sondage

    Pages spéciales

    18禁夜色福利院在线播放